Track Hurricanes Live On Weather.com: Your Guide

G.Calpoly 75 views
Track Hurricanes Live On Weather.com: Your Guide

Track Hurricanes Live on Weather.com: Your Ultimate Guide

Hey everyone, are you ready to learn how to track hurricanes live on Weather.com ? It’s super important, especially if you live in an area prone to these wild weather events. Weather.com is a fantastic resource, and I’m going to walk you through everything you need to know to stay informed and safe. We’ll cover how to find the latest updates, understand the different tools available, and interpret the information to make smart decisions. Seriously, knowing how to track hurricanes live on Weather.com can make a huge difference in your preparedness and peace of mind. Let’s dive in!

Getting Started: Navigating Weather.com for Hurricane Tracking

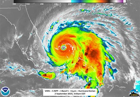
First things first, let’s talk about where to find the good stuff on Weather.com. When a hurricane is brewing, the website usually puts a big banner or section right on the homepage, making it easy to find. Look for phrases like “Hurricane Tracker,” “Live Updates,” or a specific mention of the storm’s name (like Hurricane [insert name here]). If you don’t see it immediately, don’t worry! Here’s a pro-tip: go to the search bar and type in “hurricane” or the name of the storm. This will lead you directly to the dedicated hurricane tracking pages. Once you’re there, you’ll see a wealth of information. Usually, you’ll find a map showing the storm’s current location, projected path, and intensity. You will see things such as the cone of uncertainty, which is super important; and the potential impact zones, which indicate areas that might be affected. There are also usually detailed forecasts, including wind speeds, rainfall expectations, and potential storm surge. These details are updated regularly, so make sure you check back frequently for the latest information. Don’t forget to look for links to local weather information, which can provide more specific details relevant to your area. Tracking hurricanes live on Weather.com is more than just looking at a map; it’s about staying informed with a comprehensive set of resources. Remember, being informed is half the battle when it comes to staying safe during a hurricane!

Understanding the Hurricane Tracker Tools and Features

Alright, let’s dig a little deeper into the tools and features that Weather.com offers. They’ve got some seriously cool features that can help you stay ahead of the storm. The interactive maps are your best friend. You can usually zoom in and out, pan around, and even see the storm’s historical track. It’s like having a virtual window into the hurricane! The maps often include the cone of uncertainty, which is a key tool. This cone represents the area where the center of the storm is most likely to go. The wider the cone, the less certain the path. Keep in mind that the storm can still impact areas outside the cone, so it’s essential to monitor the entire forecast region. Then, there’s the forecast information. Weather.com provides detailed hourly and daily forecasts, including wind speed predictions, rainfall amounts, and potential storm surge warnings. Pay close attention to these forecasts; they can give you a heads-up on what to expect in your local area. The site also includes radar imagery, which allows you to visualize the storm’s intensity and movement in real-time. This can be especially useful for seeing how quickly the storm is approaching. There are also often helpful videos and articles explaining the latest updates from meteorologists. They’ll break down the technical jargon and provide easy-to-understand explanations. By taking advantage of all the tools and features available, you’ll have a much better idea of what’s coming your way and can prepare accordingly. Seriously, guys, knowing how to use these tools is a game-changer when you’re trying to track hurricanes live on Weather.com .

Interpreting Hurricane Data and Forecasts

Okay, now that you know where to find the info and have seen all the features, let’s talk about understanding what the heck it all means. Decoding the data on Weather.com is crucial for making informed decisions. First off, get familiar with the Saffir-Simpson Hurricane Wind Scale. This scale categorizes hurricanes based on their sustained wind speeds, from Category 1 (the weakest) to Category 5 (the strongest). Knowing the category will give you a rough idea of the potential damage. However, remember that other factors, like rainfall and storm surge, can be just as dangerous. Pay close attention to the storm’s projected path. The forecast maps will show the most likely path, but also the cone of uncertainty, as mentioned earlier. It is very important to consider the potential impact of the storm even outside of the exact path of the storm. Wind speeds are a critical factor to watch. Weather.com provides forecasts for sustained winds, which are the average wind speeds over a one-minute period. Also, pay attention to gusts, which can be even more powerful. Strong winds can cause significant damage, so make sure to secure loose objects and prepare your home for high winds. Rainfall forecasts are also vital. Hurricanes can bring torrential downpours, leading to flooding. Weather.com provides rainfall forecasts, including the expected amount of rain and the potential for flash floods. If you live in a flood-prone area, be extra vigilant. Storm surge is another huge concern, especially for coastal areas. This is the rise in sea level caused by the storm. Weather.com’s forecasts will indicate the expected storm surge levels, which can be life-threatening. Always heed storm surge warnings and evacuate if instructed. By understanding these key factors and how they relate to the storm’s impact, you can make informed decisions to protect yourself and your family. Mastering how to track hurricanes live on Weather.com is not just about looking at pretty maps; it’s about understanding the complex information to stay safe.

Making Smart Decisions: Preparing for a Hurricane

Alright, now that you’re well-versed in tracking and understanding hurricane data, let’s talk about what you need to do to prepare. Being proactive is key! Start by creating a hurricane preparedness kit. This should include essentials like water (at least one gallon per person per day), non-perishable food, a first-aid kit, medications, a flashlight with extra batteries, a NOAA weather radio, and any essential personal items. Next, make a family emergency plan. Discuss evacuation routes and meeting points. Make sure everyone in your family knows what to do and where to go in case of an evacuation. If you live in an evacuation zone, it’s imperative to know where to go and have a plan in place. Protect your home by securing loose objects. Trim trees and bushes, bring outdoor furniture inside, and secure windows and doors. Boarding up windows is a great idea if you have the time and resources. Consider flood insurance if you live in a flood-prone area. Standard homeowner’s insurance might not cover flood damage. Stay informed by monitoring Weather.com and local news for the latest updates. Be ready to evacuate if advised. Don’t wait until the last minute. Follow instructions from local authorities and always heed any evacuation orders. During the storm, stay indoors and away from windows and doors. Keep monitoring Weather.com and local news for the latest updates. After the storm, be careful of hazards like downed power lines and damaged buildings. Remember to check on your neighbors and offer assistance if possible. Having a solid preparation plan can greatly reduce the risks associated with a hurricane, so make sure you use Weather.com to track hurricanes live and gather all relevant information. By following these steps, you’re making a smart move to keep yourself and your family safe.

Additional Resources and Tips for Hurricane Season

Let’s round things out with some extra resources and tips to help you stay ahead of the game during hurricane season. There are tons of valuable resources beyond Weather.com. Your local government’s website is a goldmine for emergency preparedness information, including evacuation routes, shelter locations, and public safety announcements. The National Hurricane Center (NHC) is another excellent source of information. Their website provides detailed forecasts, storm tracking, and educational materials. The Federal Emergency Management Agency (FEMA) offers resources on disaster preparedness, including tips on how to create an emergency kit, develop a family plan, and understand flood insurance. Now, here are some helpful tips to keep in mind throughout the hurricane season. Sign up for emergency alerts from your local authorities. These alerts will keep you informed of any potential threats. Keep your car’s gas tank full. If an evacuation is necessary, you’ll want to have enough fuel. Have cash on hand. ATMs and credit card machines might not work if the power is out. Review your insurance policies to make sure you have adequate coverage. Take pictures or videos of your home and possessions. This will help with insurance claims. Stay calm and stay informed. Don’t panic; instead, rely on credible sources of information like Weather.com and local authorities. By using these additional resources and tips, you can strengthen your preparedness and reduce your stress level. Learning to track hurricanes live on Weather.com is only part of the solution; using all available resources will create a powerful plan to keep you safe and ready. Stay vigilant, stay informed, and stay safe, guys!